Вот скромнягаvitja1777 писал(а):Вот примерно так я и провёл лето.
Паункюла.
Правила форума
Уважаемые рыбаки, Убедительная просьба:
На льду водоемов и по берегам, в Эстонии, принято не мусорить. Весь мусор после рыбалки , забираем с собой. Зарание благодарим!!!
Уважаемые рыбаки, Убедительная просьба:
На льду водоемов и по берегам, в Эстонии, принято не мусорить. Весь мусор после рыбалки , забираем с собой. Зарание благодарим!!!
- Борис
- Клуб "Striborg"
- Сообщения: 5666
- Зарегистрирован: 05 июн 2006, 15:54
- Откуда: Таллинн
- Благодарил (а): 1703 раза
- Поблагодарили: 3154 раза
Re: Паункюла.
- vitja1777
- Активный участник форума
- Сообщения: 591
- Зарегистрирован: 17 янв 2010, 09:23
- Откуда: Эстония,Харьюмаа
- Благодарил (а): 2599 раз
- Поблагодарили: 2571 раз
Re: Паункюла.
Доброго дня,всем.Спасибо,ребята,за добрые отзывы.
Да,Сергей,эт как наркомания,ни как не завязать.Вот опять сегодня ночью ходил на дежурство.Друг попросил взять с собой,отказать не мог.И вот сидим мы вдвоём на четыре удочки,кидаем в одно место.Поклёвка у друга,и сход почти в месте закорма;обьясняю ему,рыб этого боится.Через непродолжительное время у него вторая поклёвка,и обрыв вместе с основной леской.Тут уж я высказал всё,что думаю по этому поводу.И около пол второго у меня всёж клюнуло,вывел,типа показал,как надо.И пошёл туман,ну думаю всё,хана рыбалке,однако надежда умирает последней.Через какое-то время глядь,поклёвка,поплавок пошёл-настоящая,подсекаю,есть!И фрикцион трещит,а я кручу-кручу-кручу,смотрю неумолимо рыб двигаеться на удочки друга,надо бы остановить,часто бывало,вытаскивал несколько удочек с одной рыбой,ни малейшего желания перевязывать снасти,ни себе ни другу нет.подкручиваю фрикцион-дзынь,и пусто.поводок не выдержал.Ладно.Нет не ладно,ответили рыбасы и через пол часика история повторяеться.Да уж,чешу затылок;теперь уже друг смотрит на меня,так наверно,как недавно я на него.Делать нечего,ставлю поводок 0,16,и надо сказать вовремя.Последняяя поклёвка,и лещ прогулявшись,под соседними удочками,слава богу,ни чего не зацепив,но ни в какую не хотел складываться пополам,чтоб залесть в подсак,вот тут уж я получаю полное удовлетворение.Под конец и другу всёж удача улыбнулась и домой поехали оба с рыбой.Нельзя сказать,что неклювало,но на четыре удочки,семь поклёвок за всю ночь,слабовато.Так что по разному бывает. Всем удачи
Да,Сергей,эт как наркомания,ни как не завязать.Вот опять сегодня ночью ходил на дежурство.Друг попросил взять с собой,отказать не мог.И вот сидим мы вдвоём на четыре удочки,кидаем в одно место.Поклёвка у друга,и сход почти в месте закорма;обьясняю ему,рыб этого боится.Через непродолжительное время у него вторая поклёвка,и обрыв вместе с основной леской.Тут уж я высказал всё,что думаю по этому поводу.И около пол второго у меня всёж клюнуло,вывел,типа показал,как надо.И пошёл туман,ну думаю всё,хана рыбалке,однако надежда умирает последней.Через какое-то время глядь,поклёвка,поплавок пошёл-настоящая,подсекаю,есть!И фрикцион трещит,а я кручу-кручу-кручу,смотрю неумолимо рыб двигаеться на удочки друга,надо бы остановить,часто бывало,вытаскивал несколько удочек с одной рыбой,ни малейшего желания перевязывать снасти,ни себе ни другу нет.подкручиваю фрикцион-дзынь,и пусто.поводок не выдержал.Ладно.Нет не ладно,ответили рыбасы и через пол часика история повторяеться.Да уж,чешу затылок;теперь уже друг смотрит на меня,так наверно,как недавно я на него.Делать нечего,ставлю поводок 0,16,и надо сказать вовремя.Последняяя поклёвка,и лещ прогулявшись,под соседними удочками,слава богу,ни чего не зацепив,но ни в какую не хотел складываться пополам,чтоб залесть в подсак,вот тут уж я получаю полное удовлетворение.Под конец и другу всёж удача улыбнулась и домой поехали оба с рыбой.Нельзя сказать,что неклювало,но на четыре удочки,семь поклёвок за всю ночь,слабовато.Так что по разному бывает. Всем удачи
- Рейтинг: 6%
- vitja1777
- Активный участник форума
- Сообщения: 591
- Зарегистрирован: 17 янв 2010, 09:23
- Откуда: Эстония,Харьюмаа
- Благодарил (а): 2599 раз
- Поблагодарили: 2571 раз
Re: Паункюла.
Боря,рад приветствовать!
За пазухой,как и в карманах-ветер
,ни где больше не был,окромя лещей и линей ни кого не брал
Сергей,спасибо
.Точно подметил,хотя ночью второй мне показался покрупнее,но при взвешивании было 2,4 и 2,2кг.
Да,к осени пошли экземпляры покрупнее.Вот и как тут завяжешь?
Сергей,спасибо
Да,к осени пошли экземпляры покрупнее.Вот и как тут завяжешь?
- Barsik
- Клуб "Striborg"
- Сообщения: 400
- Зарегистрирован: 06 июн 2006, 11:22
- Ваше Имя: Борис
- Откуда: Tallinn
- Благодарил (а): 66 раз
- Поблагодарили: 436 раз
Re: Паункюла.
Сколько уже ездил туда - а ключик не подобрать.
Ну никак не хочет щука ловиться. В общем спомал восемь рыбов. Тока размер такой - что даже для фотосесии не все годятся. Зато отпустить не жалко и дома рыбу чистить не придётся.
Ну никак не хочет щука ловиться. В общем спомал восемь рыбов. Тока размер такой - что даже для фотосесии не все годятся. Зато отпустить не жалко и дома рыбу чистить не придётся.
- Рейтинг: 2%
- Barsik
- Клуб "Striborg"
- Сообщения: 400
- Зарегистрирован: 06 июн 2006, 11:22
- Ваше Имя: Борис
- Откуда: Tallinn
- Благодарил (а): 66 раз
- Поблагодарили: 436 раз
Re: Паункюла.
Ещё фотки
А что? На Паункюла можно теперь с бензиновыми моторами?
Была ещё одна лодка. Не успел сфотографировать
- vitja1777
- Активный участник форума
- Сообщения: 591
- Зарегистрирован: 17 янв 2010, 09:23
- Откуда: Эстония,Харьюмаа
- Благодарил (а): 2599 раз
- Поблагодарили: 2571 раз
Re: Паункюла.
Всем доброго времени суток.
Просыпаюсь я значит сегоня среди ночи,что-то не то,вначале не понял,посля дошло;сегодня ж выходной,а я не на рыбалке,ну и дела...Надоб исправить.Кофе,недолгие сборы и в пол шестого я на водоёме.Давно мысля одна в головешке ковырялась,попробовать заставить лещей на удочку с берега ловиться.Надо сказать не совсем комом вышел первый блин.Пока было совсем темно сваргнил снасть,такую ж как при ловле с лодке,но в пару раз полегче.Определился с местом,приготовил корм,чуть стало видно,пристрелялся,закормил и в пол восьмого первый подлещик,за утро ещё четыре.Начало положено.
Поклёвки издевательские,грузик тащило по дну(погда та ещё),и не мог определить,то ли то поклёвка,то ли груз на кочку полез.Реализация поклёвок процентов 25,да и те половину на угад.
Всем удачи .
Просыпаюсь я значит сегоня среди ночи,что-то не то,вначале не понял,посля дошло;сегодня ж выходной,а я не на рыбалке,ну и дела...Надоб исправить.Кофе,недолгие сборы и в пол шестого я на водоёме.Давно мысля одна в головешке ковырялась,попробовать заставить лещей на удочку с берега ловиться.Надо сказать не совсем комом вышел первый блин.Пока было совсем темно сваргнил снасть,такую ж как при ловле с лодке,но в пару раз полегче.Определился с местом,приготовил корм,чуть стало видно,пристрелялся,закормил и в пол восьмого первый подлещик,за утро ещё четыре.Начало положено.
Поклёвки издевательские,грузик тащило по дну(погда та ещё),и не мог определить,то ли то поклёвка,то ли груз на кочку полез.Реализация поклёвок процентов 25,да и те половину на угад.
Всем удачи .
- vitja1777
- Активный участник форума
- Сообщения: 591
- Зарегистрирован: 17 янв 2010, 09:23
- Откуда: Эстония,Харьюмаа
- Благодарил (а): 2599 раз
- Поблагодарили: 2571 раз
Re: Паункюла.
Всем доброго времени суток.
Эх Боря,Боря,от твого пристального взгляда ничего не ускользнёт.Твоя правда,только то не палка,а скалка была;вот и счас по квартире ходит не знаю за что сегодня возьмётся.А фотик в машине вчера отлежал благополучно,был один момент красивый,счёлкнуть бы стоило,радуга,да такая яркая,но пока б бегал не успел бы,а подлещиков после лещей фоткать,скажем так:постеснялся.
Сегодня с утречка решил повторить.На то ж место,в самый раз к тому времени,как закинуть уже видно куда.Только закинул,не то чтоб прикормить,закурить даже не успел,поклёвка-мимо.Снова заброс-есть,вот он подлещик.Ещё заброс-плотка,эт уже плохой знак.Вообщем минут десять поклевало и вот настоящая поклёвка,подсечка.....треськ второе колено бюджетного карбона..... .Бросаю бегом в машину за настоящими удочками.Заброс,тишина в ответ,ставлю вторую не помогает.Вот тут уж и корми и кури скока душе угодно,время упущено,стая распугана.Расположился поудобней,изредка кто-то дёрнет,одного поймал с ладошку,вчера тож пару таких попадало. Посля гостья пожаловала,так до завершения рыбалки и крутилась вокруг,словно лучшая подруга Как бы она меня не утешала легче мне от этого не становилось.Думаю надо спасать положение,хоть плотку попробовать половить,благо заказ на сушёную рыбу есть.Ещё раз в машину,забродники,махалку,и дело пошло повеселее,не так,чтоб уж очень,но потихоньку ловилась.
А эти удочки так и простояли,мелочь с ними справиться не могла,да и раз плотка крутилась скорее всего ничего серьёзного рядом и не проплывало.Переодически перезабрасывал,меняя насадку,кормил,но фортуна показывала кукишь.К двум решил закругляться,но задумка есть.Но это уже на следующий раз. Всем удачи
Эх Боря,Боря,от твого пристального взгляда ничего не ускользнёт.Твоя правда,только то не палка,а скалка была;вот и счас по квартире ходит не знаю за что сегодня возьмётся.А фотик в машине вчера отлежал благополучно,был один момент красивый,счёлкнуть бы стоило,радуга,да такая яркая,но пока б бегал не успел бы,а подлещиков после лещей фоткать,скажем так:постеснялся.
Сегодня с утречка решил повторить.На то ж место,в самый раз к тому времени,как закинуть уже видно куда.Только закинул,не то чтоб прикормить,закурить даже не успел,поклёвка-мимо.Снова заброс-есть,вот он подлещик.Ещё заброс-плотка,эт уже плохой знак.Вообщем минут десять поклевало и вот настоящая поклёвка,подсечка.....треськ второе колено бюджетного карбона..... .Бросаю бегом в машину за настоящими удочками.Заброс,тишина в ответ,ставлю вторую не помогает.Вот тут уж и корми и кури скока душе угодно,время упущено,стая распугана.Расположился поудобней,изредка кто-то дёрнет,одного поймал с ладошку,вчера тож пару таких попадало. Посля гостья пожаловала,так до завершения рыбалки и крутилась вокруг,словно лучшая подруга Как бы она меня не утешала легче мне от этого не становилось.Думаю надо спасать положение,хоть плотку попробовать половить,благо заказ на сушёную рыбу есть.Ещё раз в машину,забродники,махалку,и дело пошло повеселее,не так,чтоб уж очень,но потихоньку ловилась.
А эти удочки так и простояли,мелочь с ними справиться не могла,да и раз плотка крутилась скорее всего ничего серьёзного рядом и не проплывало.Переодически перезабрасывал,меняя насадку,кормил,но фортуна показывала кукишь.К двум решил закругляться,но задумка есть.Но это уже на следующий раз. Всем удачи
- Рейтинг: 14%
- Борис
- Клуб "Striborg"
- Сообщения: 5666
- Зарегистрирован: 05 июн 2006, 15:54
- Откуда: Таллинн
- Благодарил (а): 1703 раза
- Поблагодарили: 3154 раза
Re: Паункюла.
Ну, это от тебя зависит. За что ей взяться? (шутка)vitja1777 писал(а): счас по квартире ходит не знаю за что сегодня возьмётся.
Здорово у тебя, Витя, получается на водохроне
П.С. Ты там шепни, когда плотка в канал зайдёт
- vitja1777
- Активный участник форума
- Сообщения: 591
- Зарегистрирован: 17 янв 2010, 09:23
- Откуда: Эстония,Харьюмаа
- Благодарил (а): 2599 раз
- Поблагодарили: 2571 раз
Re: Паункюла.
Всем доброго времени суток.Когда желание перебарывает разум случаются и такие рыбалки.Собираюсь я значится неспешно на воскресенье,да на пораньше,с бережка посидеть.А погода так и шепчет:иди в ночь,с бережка ещё успеешь.Смотрю на часы,и действительно ещё успею.Ну и раз на лодке,надо забраться-дальше некуда.А ведь плавает рыб неподалёку,собираеться уже на ямах.Но не что так не убеждает,как собственный опыт,а вдруг,и там,подальше,до сих пор бороздят просторы водохрона добрые такие лёни.А красота кругом,уже не зря.
В такой штиль за весь сезон открытой воды не попадал.Но хоршая погода,частенько оборачиваеться прямопротивополжным уловом.С первого заброса,при настройки глубины садится золотая рыбка в виде окушары.А почему золотая?да потому,что эт был первый и последний рыб пойманный мной за всю рыбалку.Всякое бывало,но чтоб вооще,и даже плотка не брала...Ничего не бывает зря,отрицательный результат тож результат.И даже адреналинчика порцию получил:ночью плюх справа за спиной по борту карпуша,скорей всего баловался,потом ещё два раза,в один из которых прям посреди ночи,когда я поочерёдно кимаря то правым,то левым глазом,какой-то момент закрылись оба и тут плюх,слева по борту,как человек в воду,совсем рядом,какой уж тут сон,надо признаться немного не по себе стало.
Всем удачи
П.С.Боря обязательно шепну,если сам попаду
В прошлом году не довелось.Сослали в ссылку в самый раз когда,вернулся,уже зима 
П.С.Боря обязательно шепну,если сам попаду
- Рейтинг: 10%
- Barsik
- Клуб "Striborg"
- Сообщения: 400
- Зарегистрирован: 06 июн 2006, 11:22
- Ваше Имя: Борис
- Откуда: Tallinn
- Благодарил (а): 66 раз
- Поблагодарили: 436 раз
Re: Паункюла.
Был я там вчера. Может и мимо тебя, Витя, проходил на своей лодочке. Вы рядышком в две лодки стояли? И ещё одна в сторонку отошла?
Пытался щучку поймать. Да только не хочет она брать. Нашёл одно место, где она всегда гуляет. Даже видел как блесну два раза щучки провожали до лодки. Поймал всего два щупачка, которых без сожаления отпустил подрастать.
Пытался щучку поймать. Да только не хочет она брать. Нашёл одно место, где она всегда гуляет. Даже видел как блесну два раза щучки провожали до лодки. Поймал всего два щупачка, которых без сожаления отпустил подрастать.
- vitja1777
- Активный участник форума
- Сообщения: 591
- Зарегистрирован: 17 янв 2010, 09:23
- Откуда: Эстония,Харьюмаа
- Благодарил (а): 2599 раз
- Поблагодарили: 2571 раз
Re: Паункюла.
Борис,здравствуй!Мимо тех трёх лодок я тож провлывал,когда выходил в субботу,сзади них,потихоничку,почти по партизански,люди на леща стоят всёж.Стояли они точ в таком же порядке и в субботу,как в воскресенье.В самой правой,немного знакомый рыбак(встречались летом в лагуне,на линя).Чутка с ним поболтал,за субботу у него один лещ был утром,у других не знаю.Когда плыл обратно,вообще продрейфовал,не спешил,думаю посмотрю,всёж три кормушки,восемь удочек,почти вплотную,должно что-то быть.А была поклёвка,и вроде тишина,и когда уже отплыл на приличное расстояние.Взял рыбак на средней лодке доброго такого леща(определение по тому,как вываживал),был я уж всё-таки на приличном расстоянии.И вот тут кажись наши с тобой корабли встретились.У тебя кажись белая така,красивая,с электро моторчиком,калёсиками кверху.У меняж орион 10,такой зелёный-зелёный,на вёслах.Мне ещё твоё лицо знакомым показалось(наверно по аваторке).Мы с тобой почти вплотную разминулись,ты тока выходил в озеро,а я уже почти приплыл обратно.
А рыбачил я намного дальше,на вёслах мне пол часа ходу,хорошим ходом.Этот раз плыл почти час,пока их обходил,да фоток по дороге насчёлках,закинул уже в сумерках.
А рыбачил я намного дальше,на вёслах мне пол часа ходу,хорошим ходом.Этот раз плыл почти час,пока их обходил,да фоток по дороге насчёлках,закинул уже в сумерках.
- vitja1777
- Активный участник форума
- Сообщения: 591
- Зарегистрирован: 17 янв 2010, 09:23
- Откуда: Эстония,Харьюмаа
- Благодарил (а): 2599 раз
- Поблагодарили: 2571 раз
Re: Паункюла.
Всем доброго времени суток.
Вторые выходные подряд полнейший пролёт.Обидно чёрт побери.Этот раз с берега,с обеда до упора,горсточку плотвичек,на червячков игнор.И опять отличная погода,но видать не для рыбалки.В воскресенье с утречка на закормленное место,не каких изменений.В 10 перебрался на канал,попробовал с двух сторон,фигушку показал водяной и тама.Ладно,думаю хоть грибов наберу,...наверно не по тем лесам ходил.А красотища кругом.А настроение всё ниже и ниже.И чтоб поправить,уже к вечеру дома,беру псину,спин,и на ближайшую речку,Швырял,я блёсенки,швырял,а в ответ одна трава.Вот так вот,бывает же... .
Всем удачи
Вторые выходные подряд полнейший пролёт.Обидно чёрт побери.Этот раз с берега,с обеда до упора,горсточку плотвичек,на червячков игнор.И опять отличная погода,но видать не для рыбалки.В воскресенье с утречка на закормленное место,не каких изменений.В 10 перебрался на канал,попробовал с двух сторон,фигушку показал водяной и тама.Ладно,думаю хоть грибов наберу,...наверно не по тем лесам ходил.А красотища кругом.А настроение всё ниже и ниже.И чтоб поправить,уже к вечеру дома,беру псину,спин,и на ближайшую речку,Швырял,я блёсенки,швырял,а в ответ одна трава.Вот так вот,бывает же... .
Всем удачи
- vitja1777
- Активный участник форума
- Сообщения: 591
- Зарегистрирован: 17 янв 2010, 09:23
- Откуда: Эстония,Харьюмаа
- Благодарил (а): 2599 раз
- Поблагодарили: 2571 раз
Re: Паункюла.
Всем доброго времени суток.
Ай-яай-яй,ещё две рыбалки,длинный такой пролёт.Да с учётом предыдущих
.Бывает так:прёт,прёт,прёт,а посля наоборот-каак не попрёт,и чего не перепробовал
Прошедшее воскресенье,конкретно на плотку,цельный день,только на бибике пять раз переезжал.Ничего не срабатывало,ни волшебные заклинания,ни чудо мормыхи,не супер прикорм,так и шёл по озеру,расчитывая попасть поплавком в рыбу,
три раза попал.
Вчера с обеда до темна,цель:поквитаться с рыбасом.Смена прикормки, снастей,мест.
результат тот же.
То ли квоту свою на знтот год выловил?То ли чего перемудрил,то ли ловить разучился?То ли полоса не того цвета.Прошлой осенью не плохо ловилась,но год на год не приходиться. Всем удачи.
Может в воскресенье ещё соберусь попытать фортуну
Ай-яай-яй,ещё две рыбалки,длинный такой пролёт.Да с учётом предыдущих
Прошедшее воскресенье,конкретно на плотку,цельный день,только на бибике пять раз переезжал.Ничего не срабатывало,ни волшебные заклинания,ни чудо мормыхи,не супер прикорм,так и шёл по озеру,расчитывая попасть поплавком в рыбу,
Вчера с обеда до темна,цель:поквитаться с рыбасом.Смена прикормки, снастей,мест.
То ли квоту свою на знтот год выловил?То ли чего перемудрил,то ли ловить разучился?То ли полоса не того цвета.Прошлой осенью не плохо ловилась,но год на год не приходиться. Всем удачи.
Может в воскресенье ещё соберусь попытать фортуну
- Alexei
- Клуб "Striborg"
- Сообщения: 1189
- Зарегистрирован: 05 июн 2006, 15:49
- Откуда: Tallinn
- Благодарил (а): 604 раза
- Поблагодарили: 965 раз
Re: Паункюла.
Раньше на открытой воде в это время отлично ловилась осенняя плотва на ямах и свалах метров с 7. У берега было значительно хуже.
- Рейтинг: 2%
- vitja1777
- Активный участник форума
- Сообщения: 591
- Зарегистрирован: 17 янв 2010, 09:23
- Откуда: Эстония,Харьюмаа
- Благодарил (а): 2599 раз
- Поблагодарили: 2571 раз
Re: Паункюла.
....Днём управившись с делами,после обеда направил свой взгляд на любимый водоём.
Поскоку всесь удобный берег в течении месяца пройден не один раз взад вперёд,а тусовки плотвиной не обнаружено(хотя в прошлом годе именно на небольшой,до двух метров глубины,неплохо отрывался осенью),а с лодкой из-за плотки лень возиться,решаю вкорне сменить дислокатцию,припарковываю машину у рыб.базы,и вперёд по старым добрым забытым местам,далековато топать,но за то нормальная глубина с берега. Ну вот и пришёл,дальше дороги нет.Если посмотреть по сторонам,открываеться красивийший пейзаж Чтож,клювало на всё,и вся,но поклёвки те ещё,прикорм собирал рыбу,и вообщем всё ничего,но полного отрыва не вышло.Во первЫх,реализовать получалось,где-то кождую третюю поклёвку(ну так примерно)из этого проходила отбор тож примерно каждая третяя рыбина,остальным нодоть ещё подрости малость.Да ещё конфуз с поплавками вышел.Ну эт вооще отдельная тема,слов не подобрать нормальных к изготовителям лёгких поплавков(то не успеешь снасть собрать а он уже требует ремонта,то только пристреляешься,а он уже приказал долго жить).А день осенний короток,не успеешь глазом моргнуть,смеркаеться.Возвращался уже с фонарём,всёж штучек с дюжину,отправились ко мне домой,ну хоть что-то Всем удачи
Поскоку всесь удобный берег в течении месяца пройден не один раз взад вперёд,а тусовки плотвиной не обнаружено(хотя в прошлом годе именно на небольшой,до двух метров глубины,неплохо отрывался осенью),а с лодкой из-за плотки лень возиться,решаю вкорне сменить дислокатцию,припарковываю машину у рыб.базы,и вперёд по старым добрым забытым местам,далековато топать,но за то нормальная глубина с берега. Ну вот и пришёл,дальше дороги нет.Если посмотреть по сторонам,открываеться красивийший пейзаж Чтож,клювало на всё,и вся,но поклёвки те ещё,прикорм собирал рыбу,и вообщем всё ничего,но полного отрыва не вышло.Во первЫх,реализовать получалось,где-то кождую третюю поклёвку(ну так примерно)из этого проходила отбор тож примерно каждая третяя рыбина,остальным нодоть ещё подрости малость.Да ещё конфуз с поплавками вышел.Ну эт вооще отдельная тема,слов не подобрать нормальных к изготовителям лёгких поплавков(то не успеешь снасть собрать а он уже требует ремонта,то только пристреляешься,а он уже приказал долго жить).А день осенний короток,не успеешь глазом моргнуть,смеркаеться.Возвращался уже с фонарём,всёж штучек с дюжину,отправились ко мне домой,ну хоть что-то Всем удачи
- Рейтинг: 14%
- vitja1777
- Активный участник форума
- Сообщения: 591
- Зарегистрирован: 17 янв 2010, 09:23
- Откуда: Эстония,Харьюмаа
- Благодарил (а): 2599 раз
- Поблагодарили: 2571 раз
Re: Паункюла.
Всем доброго времени суток.
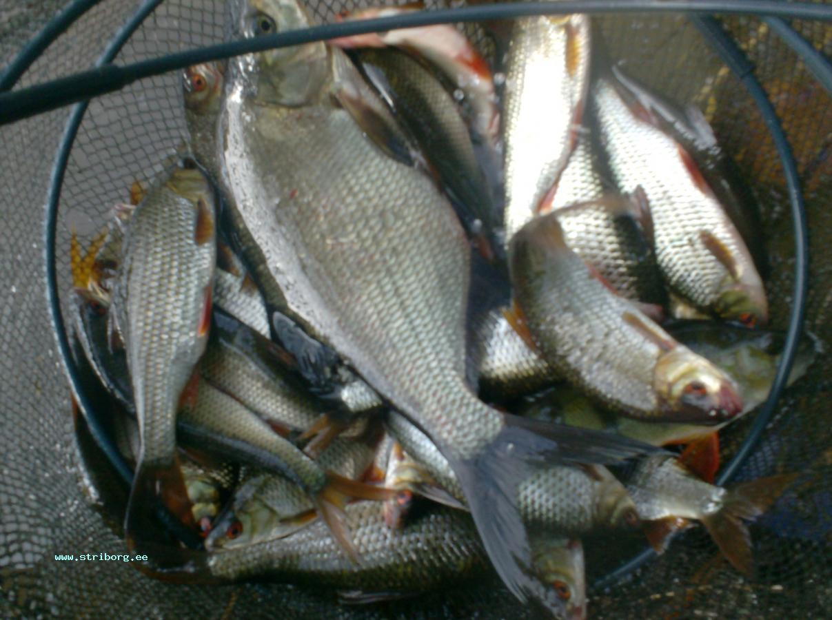
...Подьезжаю значится к родной деревне,поворот,притормаживаю,педаль плавненько так уходит в пол.Шланг подумал я.-Давно пора менять.Ответил он.Утром как смог,так и сделал,шоб передвигаться можно было(воскресенье однако).Ну и значится после обеда говорю жене:проверить надо,заодно уж и порыбачу.Немного подкорректировал оснастку с поправкой на ветер,и на проверенно-пркормлено место.Подхожу и вот те конфуз:весь берег свободен а то самое местечко и облюбованно одним рыбаком.Весь берег свободен,лишь на озере пару лодок(впрочем,как и вчера),вначале растерялся,потом здоровкаюсь,спрашиваю:не возражаешь,если я рядышком пристроюсь?-Пожалуйста-говорит.Две удочки у него серьёзные такие,на леща,встаю рядышком,а пооддаль ещё у него и спин стоит,так что получилось влез я между его снастей.Ветерок задувает добрый такой,клёв никакой,начало четвёртого.Разговорились.Говорю вчера сдесь клёв был,как на чёрных камнях.Отвечает:с утра рыбачу одна рыбка,и показывает садок:а тама лещ.Вот те раз думаю я,и начинаю кормить место.Три плотки,полетевшие обратно подрастать.Сосед шутит:у тебя говорит спортивная рыбалка:поймал отпусти.Нет,говорю,я их послал чтоб нормальных позвали.А сам уже сумневаюсь,второй закорм,четыре часа и как началось.Вот тут уж я оторвался,полтора часа,только успевай закидывать,в пол шестого стало стихать,к шести собрался.(всё по летнему времени).Сосед ушёл впять,Когда у мну началось закинул-вытянул,его рыбацкое сердце не выдержало,смотал спин,убрал одну удочку,и тож плотки слегонца половил,но не брал правда,отдавал,говорит только леща хочу,и ловилась же и у него,на такие добрые лещёвые снасти,когда клёв разошёлся на полную катушку.Странным образом уходя и леща мне оставил.Дают-бери,я не гордый,взял,счас жёнка его поджариват.
Вот такая вот чудная рыбалочка вышла.Теперя со спокойной душой и на работу завтра можно. Всем удачи
...Подьезжаю значится к родной деревне,поворот,притормаживаю,педаль плавненько так уходит в пол.Шланг подумал я.-Давно пора менять.Ответил он.Утром как смог,так и сделал,шоб передвигаться можно было(воскресенье однако).Ну и значится после обеда говорю жене:проверить надо,заодно уж и порыбачу.Немного подкорректировал оснастку с поправкой на ветер,и на проверенно-пркормлено место.Подхожу и вот те конфуз:весь берег свободен а то самое местечко и облюбованно одним рыбаком.Весь берег свободен,лишь на озере пару лодок(впрочем,как и вчера),вначале растерялся,потом здоровкаюсь,спрашиваю:не возражаешь,если я рядышком пристроюсь?-Пожалуйста-говорит.Две удочки у него серьёзные такие,на леща,встаю рядышком,а пооддаль ещё у него и спин стоит,так что получилось влез я между его снастей.Ветерок задувает добрый такой,клёв никакой,начало четвёртого.Разговорились.Говорю вчера сдесь клёв был,как на чёрных камнях.Отвечает:с утра рыбачу одна рыбка,и показывает садок:а тама лещ.Вот те раз думаю я,и начинаю кормить место.Три плотки,полетевшие обратно подрастать.Сосед шутит:у тебя говорит спортивная рыбалка:поймал отпусти.Нет,говорю,я их послал чтоб нормальных позвали.А сам уже сумневаюсь,второй закорм,четыре часа и как началось.Вот тут уж я оторвался,полтора часа,только успевай закидывать,в пол шестого стало стихать,к шести собрался.(всё по летнему времени).Сосед ушёл впять,Когда у мну началось закинул-вытянул,его рыбацкое сердце не выдержало,смотал спин,убрал одну удочку,и тож плотки слегонца половил,но не брал правда,отдавал,говорит только леща хочу,и ловилась же и у него,на такие добрые лещёвые снасти,когда клёв разошёлся на полную катушку.Странным образом уходя и леща мне оставил.Дают-бери,я не гордый,взял,счас жёнка его поджариват.
Вот такая вот чудная рыбалочка вышла.Теперя со спокойной душой и на работу завтра можно. Всем удачи
- За это сообщение автора vitja1777 поблагодарили (всего 3):
- AleksEst100, Strjem, guntars74
- Рейтинг: 6%
- vitja1777
- Активный участник форума
- Сообщения: 591
- Зарегистрирован: 17 янв 2010, 09:23
- Откуда: Эстония,Харьюмаа
- Благодарил (а): 2599 раз
- Поблагодарили: 2571 раз
Re: Паункюла.
Добрый вечер.
Успевал на вечерний клёв.Почему бы и нет?И за 2,5 часика до темноты.Поймаю так поймаю,нет так нет.Погода ничего,но ветерок прямопротвоположный против прежнего,на небе ни облачка,красиво,а вот плотка себя ни как не проявляет.На прикорм так и не подошла,но минут так за 40 до темна,всёж дала себя знать,чуть издалека,ближе так и не подошла,но ловилась исправно,пару десятков споймал.Когда начала брать хватала усё и уверенно.
Всем удачи
Успевал на вечерний клёв.Почему бы и нет?И за 2,5 часика до темноты.Поймаю так поймаю,нет так нет.Погода ничего,но ветерок прямопротвоположный против прежнего,на небе ни облачка,красиво,а вот плотка себя ни как не проявляет.На прикорм так и не подошла,но минут так за 40 до темна,всёж дала себя знать,чуть издалека,ближе так и не подошла,но ловилась исправно,пару десятков споймал.Когда начала брать хватала усё и уверенно.
Всем удачи
- vitja1777
- Активный участник форума
- Сообщения: 591
- Зарегистрирован: 17 янв 2010, 09:23
- Откуда: Эстония,Харьюмаа
- Благодарил (а): 2599 раз
- Поблагодарили: 2571 раз
Re: Паункюла.
Добрый вечер.
Ну а на плотвином фронте без перемен.Разве что чуть похужее направление ветра ну и соответственно чуть послабже и клёв в том месте. Ну и все условия,возвращаешься обратно,кто-то на верху включает фонарь
Всем удачи 
Ну а на плотвином фронте без перемен.Разве что чуть похужее направление ветра ну и соответственно чуть послабже и клёв в том месте. Ну и все условия,возвращаешься обратно,кто-то на верху включает фонарь